Crédito: Nasa.
(EUROPA PRESS)
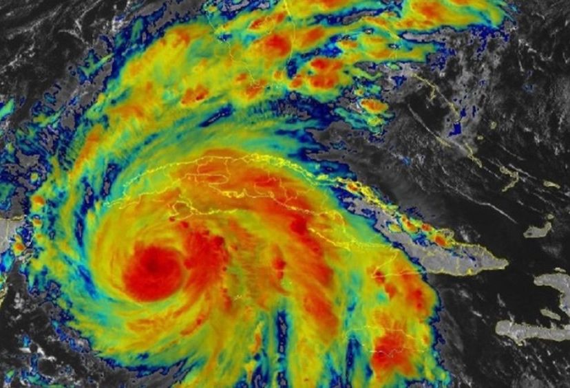
El huracán ‘Ian’ ha tocado tierra este martes de madrugada en la zona oriental de Cuba, como un fenómeno de categoría tres –en una escala de cinco– y vientos sostenidos superiores a los 120 kilómetros por hora, según el Instituto de Meteorología (Insmet) de la isla.
‘Ian’ ha entrado en Cuba por la zona de Coloma, al sur de Pinar del Río. Toda la provincia se encuentra sin suministro eléctrico por los primeros estragos de este temporal, según la prensa oficial, que ha instado a la población a no tocar cables ni postes caídos para prevenir accidentes.
Una estación meteorológica de la zona ya ha registrado alguna racha de viento superior a los 200 kilómetros por hora, como confirman tanto medios locales como el Centro Nacional de Huracanes (CNH) de Estados Unidos. Las autoridades han evacuado a unas 38.000 personas sólo en Pinar del Río.
El instituto norteamericano prevé que ‘Ian’ avance este mismo martes hacia aguas del sureste del golfo de México y se aproxime a la costa oeste de Florida entre el miércoles y el jueves.
